484 읽음
울 루비 미용했어요~~
어제 털복숭이 루비
드디어 전신미용 했어요~~
넘 이쁘고 귀여운 루비인데
사진을 잘 못 찍어서 제대로 그 빛을 못보네요~ㅠㅠ


자다가 깬 루비예요..
미용하고 났더니 훨씬. 이뻐요...
역시 사람이나 동물이나. 돈들이면 더 예뻐지네요~~ㅎ



미용할때 안면 털 자를때 많이 애먹었다고 미용사분 얘기 하시네요...
이유인즉. 지난번 스켈링 할때. 루비가 많이 힘들어 했었거든요
마취하고 하느라~~
끝난후에도 주사놨었던 다리에 종이테이프 떼는것도 엄청 싫어해서 혼났었는데
그때의 트라우마 때문인지
다른때 같으면 가만히 있던 아이가 자꾸 움직인 바람에 혹여 다칠까봐 힘들었었다고 하더라구요~~
그런와중에도 예쁘게 미용해 주셔서 고맙구요...


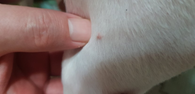
털이 많을때는 잊고있었는데 털을 자르고 나니 더욱 두드러지게 보이는 빨간점이...
다행히 큰 상처나 잘못된것은 아니지만
강아지도 나이드니 생기는 일종의 비립종이라고 하네요~~
전에는 하나였었는데 이것도 퍼지는건지~~~
아무튼. 울 루비 사는날동안
건강하게 잘먹고 잘싸고 잘자고 지낼수 있기를 바래봅니다...
남은 오후의 시간도 화이팅하세요~~^^