아티클
피드
로그인/회원가입
25.02.17
346
읽음
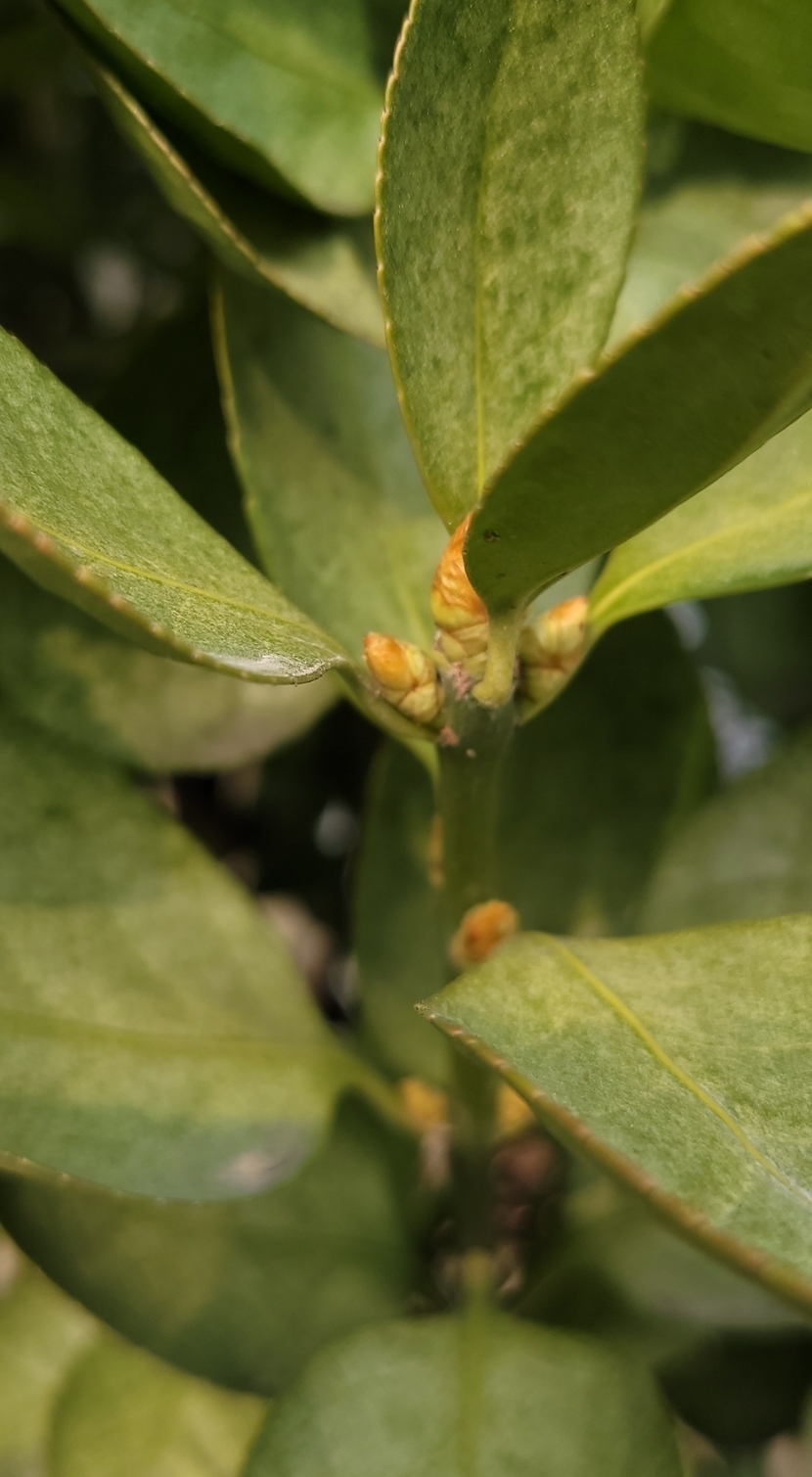
사철나무 새싹
dassom14
구독하기
81
85
콘텐츠의 수익
16
예쁘네요 😍 즐건하루되세요
85
0
/ 300
입력